Сторінка
1
Не дивлячись на те, що долині річки Самара вже була приділена досить велика увага /18, с.40-49/ подальші дослідження показали, що басейн Самари є більш унікальним ніж це видавалося на початку. Нагадаємо, що тоді мова йшла про зміну водності річки, утворення своєрідного піщаного масиву, що розмістився в середині луки Самари нижче гирла р. Вовчої (рис.3.3.1.) З аналізу співвідношення піщаного масиву з заплавними утвореннями було видно, що вік масиву є значно молодшим від віку заплави Самари. Тому було зроблено припущення, що його формування пов’язане зі значним виносом піщаного матеріалу під час танення стаціонарної льодової шапки на при кінці Валдайського часу у озеро, що існувало в басейні Дніпра. На той час подібні явища були виявлені в пониззі Прип’яті та деяких приток Ворскли. Ці піщані масиви розглядалися як палеодельти, які відображали динаміку басейнових процесів та положення тогочасної берегової лінії озера.
|
|
|
Рис.3.3.1. оглядова мапа басейну Самари, фрагмент фізико-географічної карти України /5/ |
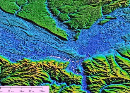
Детальне дослідження співвідношення піщаних масивів, на початку, у гирлі Прип’яті, а потім і в басейні Самари, внесло значні корективи у початкові схеми їх формування. Так, формування піщаного масиву у пониззі Прип’яті протікало у той час, коли вже існувала долина Дніпра. На детальних космічних знімках добре видно, що його утворення призвело до зміщення долини Дніпра на схід. Наявність вже розвиненої на той час долини Дніпра виключає можливість існування озера, і тому піщаний масив слід розглядати не як дельтове утворення, а скоріше як конус виносу. Не менш цікавими виявилися і результати детального дослідження піщаного масиву у луці Самари. І тут слід віддати належне використанню такого нового джерела інформації, як цифрові гіпсометричні моделі земної поверхні. Їх аналіз дозволив виявити багато нових рис у будові долини Самари та Дніпра. І першою несподіванка, що кидається у очі є співвідношення розмірів долин обох річок (рис.3.3.2). З рисунку видно, що ширина долини Самари у пригирловій частині є фактично рівною за шириною долини Дніпра, а її падеомеандри не поступаються розмірами меандрам сучасного Дніпра. Таке співвідношення розмірів долин виглядає досить дивним і нажаль таким, що залишається без пояснень.
|
|
|
Рис.3.3.2. Об’ємна модель місця злиття Дніпра та Самари |
|
1 |
2 |
|
3 |
4 |
|
5 |
6 |
|
7 |
1- Фрагмент геоморфологічної карти /2/; 2 - Фрагмент карти четвертинних відкладів /3/; 3 – Фрагмент геоморфологічної карти /23/; 4 – Фрагмент геоморфологічної карти за /3/; 5 - Фрагмент геоморфологічної карти /4/; 6 – Фрагмент геоморфологічної карти /5/; 7 - Фрагмент інженерно-геологічної карти /9/. Примітка: На фрагменті геоморфологічної карти 4 відлік терасових рівні починається від заплави. |
|
Рис.3.3.3. Фрагменти геоморфологічних та геологічних карт ділянки Самарської луки | |
Першим на рис.3.3.3 наведений фрагмент геоморфологічної карти України 1948 року, складеної В.Г.Бондарчуком /1/. Виходячи з тогочасного рівня вивченості території в пониззі Самари з долинно-терасових утворень він виділив тільки заплавний рівень. Територія на північ від долини Самари віднесена до Приорельского плато, територія на південь від неї – до Гуляйпільського плато. На початку 60-х років м.с. на карті четвертинних відкладів П.С.Заморія та геоморфологічної карти (№2) лівобережжя А.П.Ромоданової (№3) піщаний масив відноситься до еолових утворень в межах долини Самари і піщаних дюн та кучугур на терасі поліського віку.
На вставках №4-6 показані фрагменти геоморфологічних карт О.А.Маринича /3/, І.Л. Соколовського /4/ та В.П. Палієнко /5/. Останні три фрагменти відрізняються один від одного тільки порядковими номером терас. З цих карт виникає, що Самарський піщаний масив займає гіпсометричне положення між заплавою та більш високою та давньою терасою.
|
|
|
Рис.3.3.4. Фрагмент топографічної карти на ділянку Самарської луки |
На особливу увагу заслуговує аналіз фрагменту інженерно-геологічної карти, оскільки порядок розташування терасових рівнів на ньому є зворотнім. Піщаний масив віднесено до 3-4 тераси, а рівень, що розташований далі від заплави – до 1-2 надзаплавної тераси. Нічого особливого в такому розташуванню надзаплавних терас не має, але, від початку, ті очевидні розбіжності, що існують між трактуваннями авторів, поставили під сумнів доцільність її використання взагалі. Аналіз топографічних матеріалів (а вони були довгий час головним джерелом інформації при складанні геоморфологічних карт) показав, що насправді поверхня піщаного масиву є дещо вищою від розташованих блище до корінного берега терас (рис.3.3.4). Очевидно, виходячи з цієї особливості будови території автори карти і віднесли піщаний масив до більш давніх утворень.
Інші реферати на тему «Географія фізична, геологія, геодезія»:
Енергетичний потенціал відновлюваних та нетрадиційних джерел енергії України: енергія вітру, сонячна енергія ,енергія малих рік, енергія біомаси
Найбільш сприятливі періоди доби для кутових спостережень
Земельний кадастр і використання земель Городницької сільської ради Городенківського району Івано-Франківської області
Основні напрямки гідрологічних досліджень кафедри гідрології і гідрохімії київського національного університету імені Тараса Шевченка (1949-2000 рр.)
Планові геодезичні мережі
